- Klienti:Komuna e Gjakovës
- LokacioniGjakovë
- Kategoria: Rilevim
- Time: 2 Month
- Data Rilevimit:15.04.2019
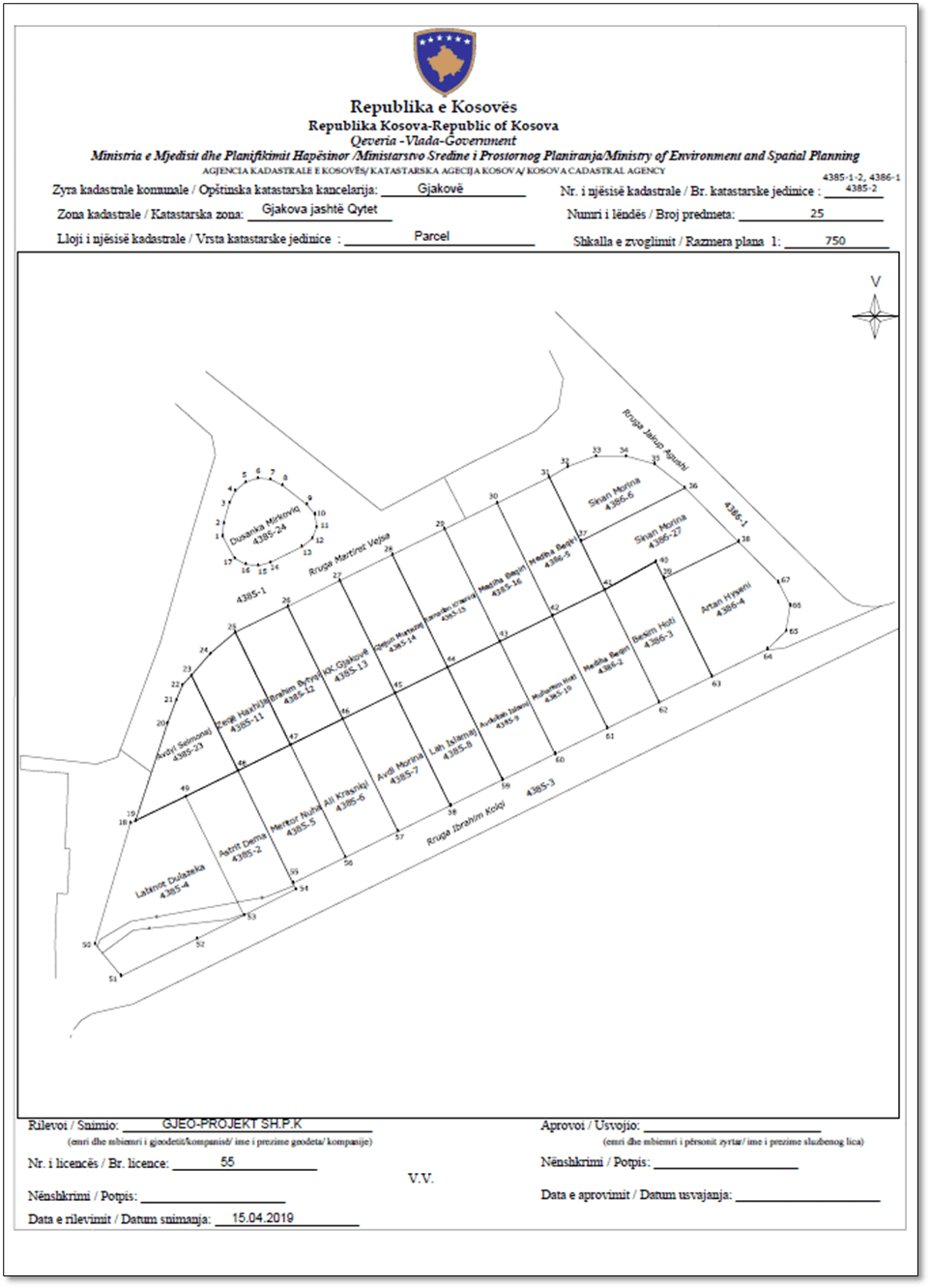
Rilevimi i lagjes “Senjak, Carapatok, Bloku i luftëtarëve dhe Orize” në qytetin e Gjakovës
Në mungesë të planeve kadastrale të cilat janë marrë nga masat e dhunshme në vitin 1998-99, pjesa e territorit të lartëpermendur ka mungesë të madhe të pjesës grafike për parcelat të cilat shtrihen në zonën e urbanizuar si dhe në pjesën e vendbanimeve jo formale. Andaj kërkohet të bëhet incizimi detal i parcelave dhe objekteve në kuadër të këtyre parcelave, si dhe rilevimi i pjesës së infrastrukturës në sipërfaqe rreth 95 ha.
Digjitalizimi, respektivisht paraqitja e shenimeve grafike në softuerin “Cadastral Map”
- Regjistrimi I të dhënave në SIKTK
- Rivendosja e kufijve
- Rilevimi i objekteve etj.
